Leptinella filicula

1 Mountain Cotula at Gourock National Park

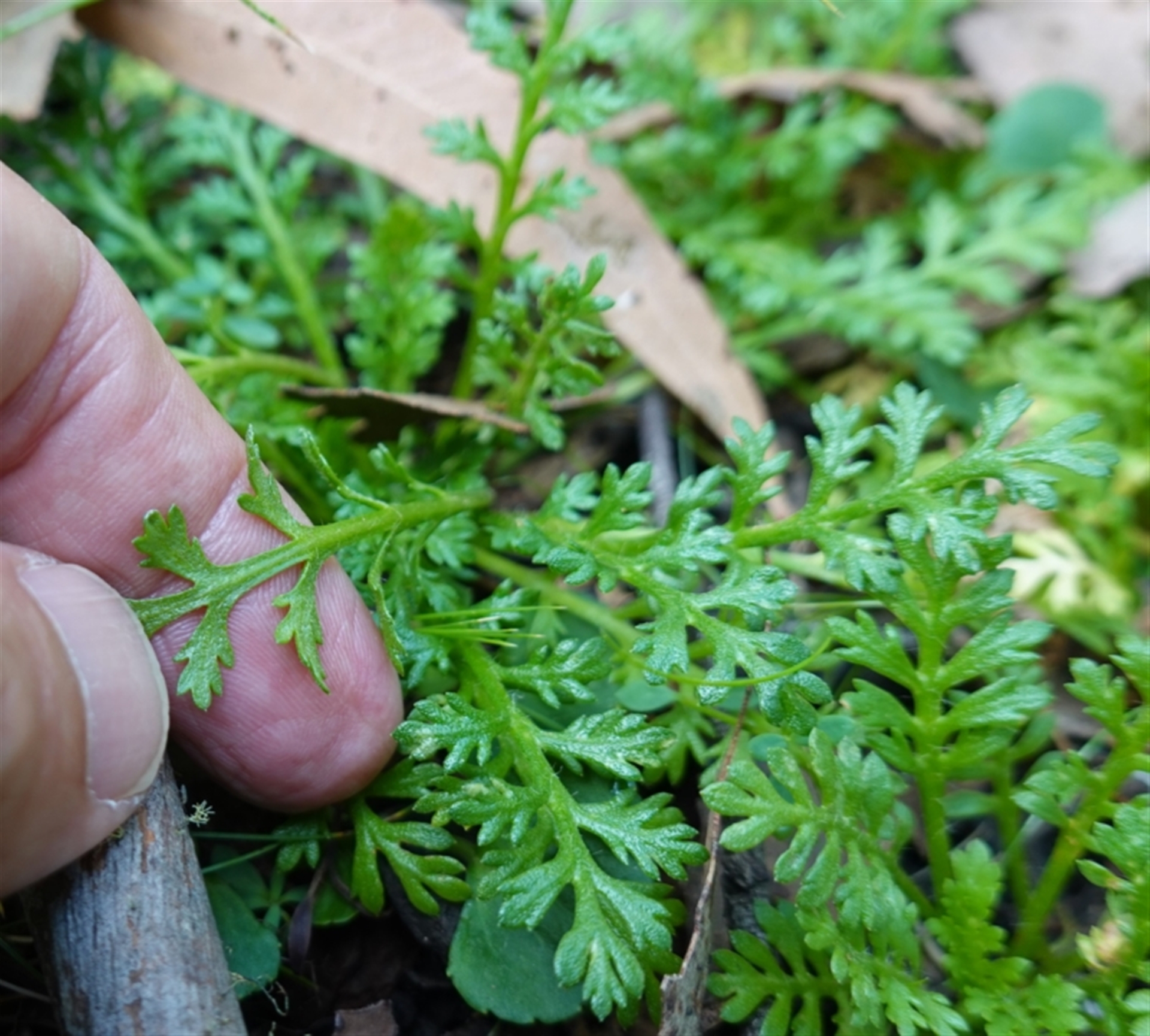
Leptinella filicula at Gourock National Park - 27 Mar 2024 11:36 AM
Leptinella filicula at Gourock National Park - 27 Mar 2024 11:36 AM
Leptinella filicula at Gourock National Park - 27 Mar 2024 11:36 AM
Leptinella filicula at Gourock National Park - 27 Mar 2024 11:36 AM
Request use of media

Identification history

Leptinella filicula 3 Apr 2024 Tapirlord
Cotula australis 1 Apr 2024 CarbonAI
Leptinella filicula 1 Apr 2024 RobG1

Identify this sighting


Please Login or Register to identify this sighting.

Be the first to comment


Please Login or Register to comment.

Location information

Sighting information

Additional information

  • Less than 10cm Plant height
  • True In flower

Species information

Record quality

  • Images or audio
  • More than one media file
  • Verified by an expert moderator
  • Nearby sighting(s) of same species
  • GPS evidence of location
  • Description
  • Additional attributes
829,984 sightings of 23,555 species from 15,264 members
CCA 3.0 | privacy
NatureMapr is developed by at3am IT Pty Ltd and is proudly Australian made