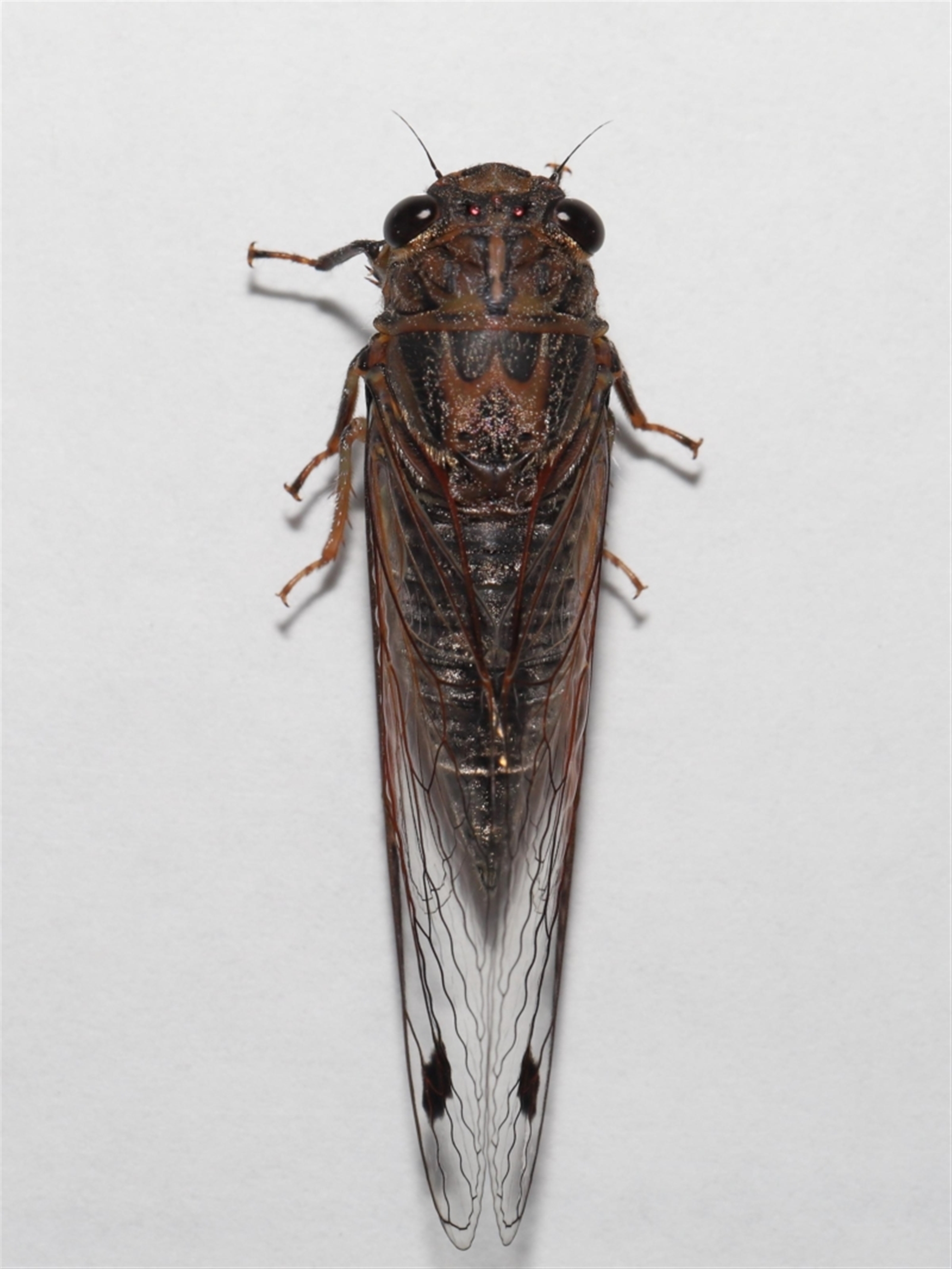
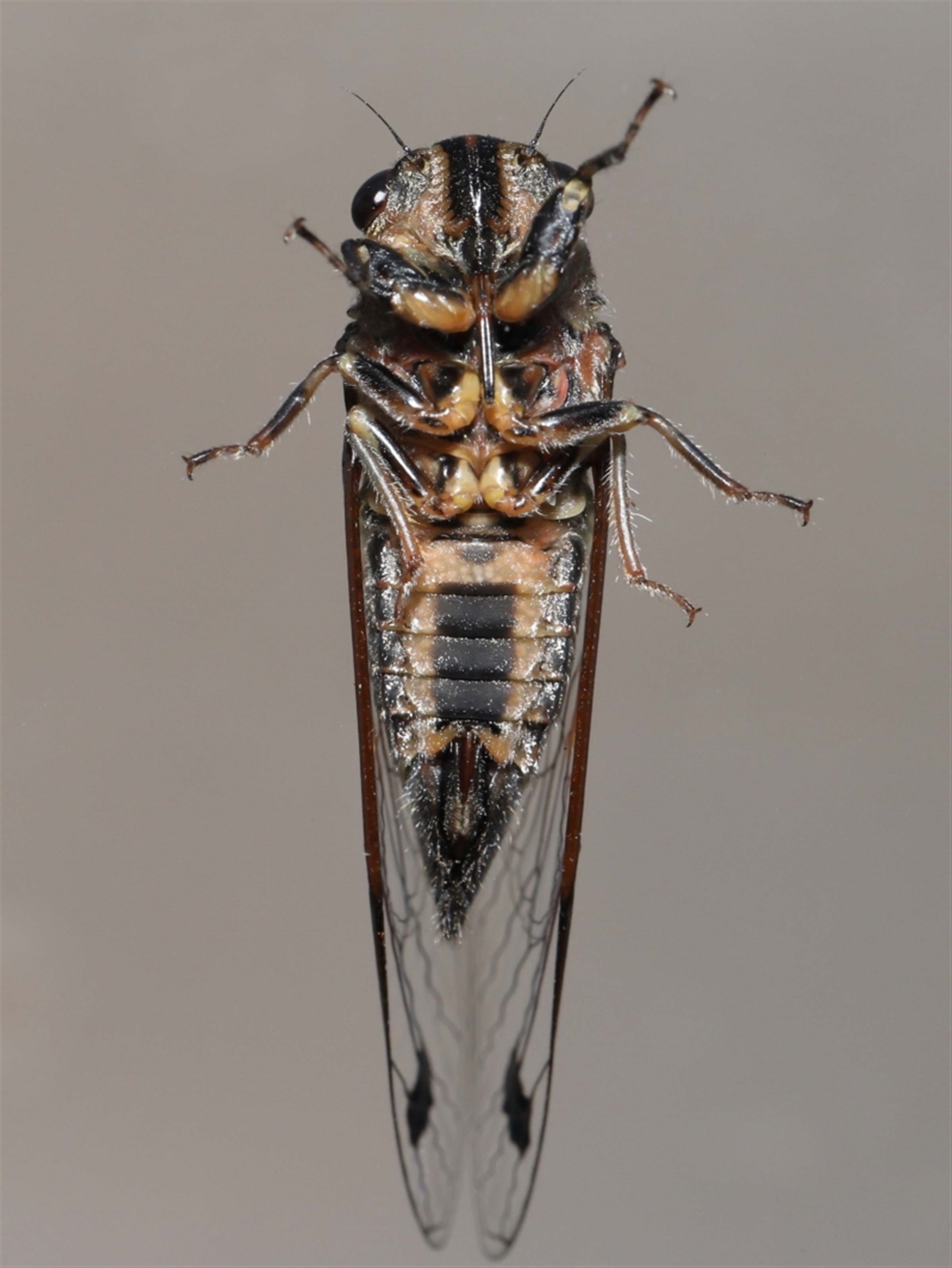
Galanga labeculata

Double-spotted cicada at Evatt, ACT

Galanga labeculata at Evatt, ACT - 6 Feb 2022 04:51 PM
Galanga labeculata at Evatt, ACT - 6 Feb 2022 04:51 PM
Galanga labeculata at Evatt, ACT - 6 Feb 2022 04:51 PM
Galanga labeculata at Evatt, ACT - 6 Feb 2022 04:51 PM
Galanga labeculata at Evatt, ACT - 6 Feb 2022 04:51 PM
Request use of media

Identification history

Galanga labeculata 6 May 2022 lpopple
Unverified 6 May 2022 TimL

Identify this sighting


Please Login or Register to identify this sighting.

1 comment

RogerF wrote:
   6 May 2022
Dots on the wings are diagnostic

Please Login or Register to comment.

Location information

Sighting information

Additional information

  • 25mm to 50mm Animal size

Species information

Record quality

  • Images or audio
  • More than one media file
  • Verified by an expert moderator
  • Nearby sighting(s) of same species
  • GPS evidence of location
  • Description
  • Additional attributes
821,090 sightings of 23,442 species from 14,942 members
CCA 3.0 | privacy
NatureMapr is developed by at3am IT Pty Ltd and is proudly Australian made