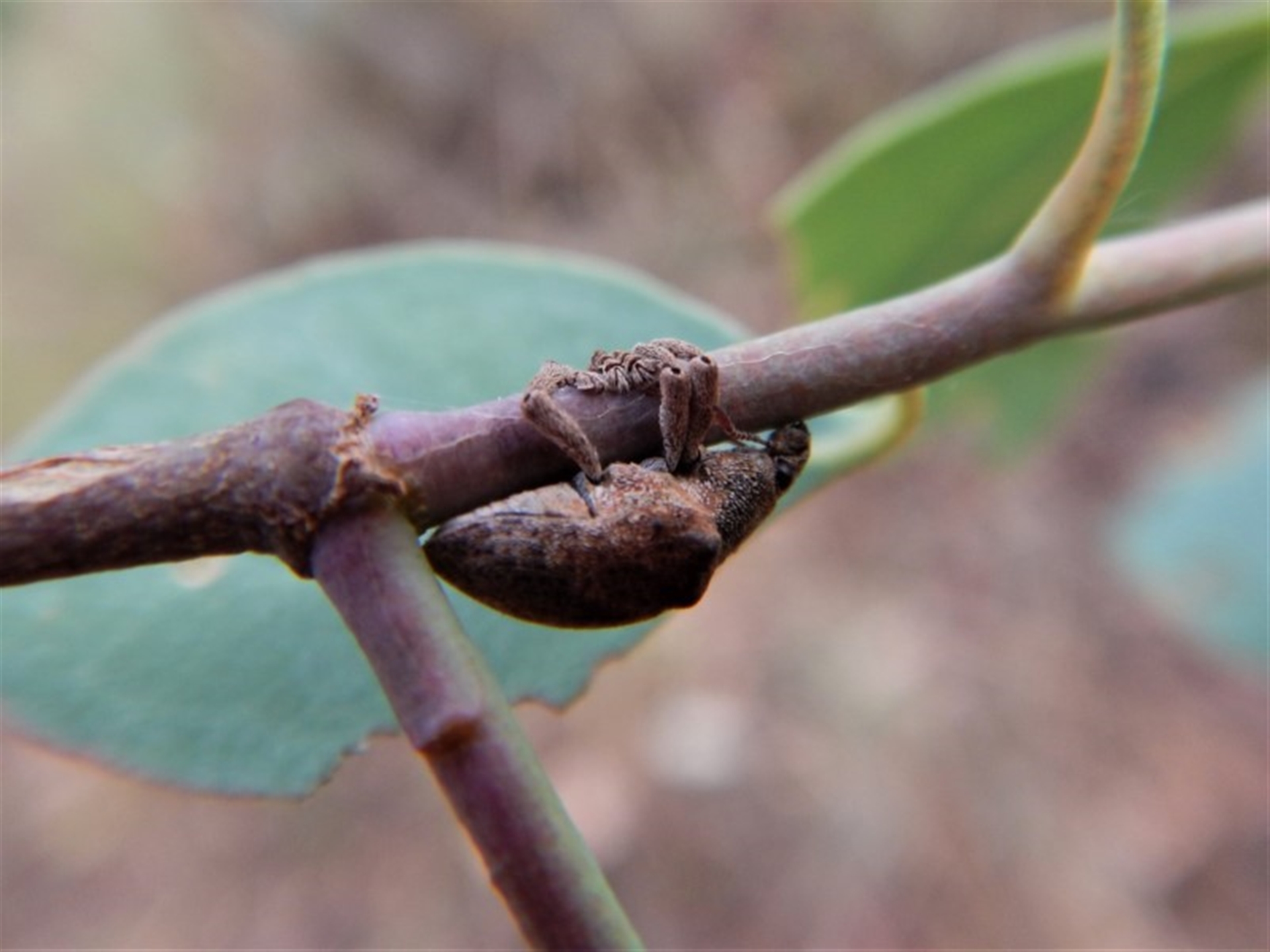
Gonipterus sp. (genus)

Eucalyptus Weevil at Cook, ACT

Gonipterus sp. (genus) at Cook, ACT - 31 Jan 2018 07:41 AM
Gonipterus sp. (genus) at Cook, ACT - 31 Jan 2018 07:41 AM
Gonipterus sp. (genus) at Cook, ACT - 31 Jan 2018 07:41 AM
Request use of media

Identification history

Gonipterus sp. (genus) 2 Feb 2018 KimPullen
Gonipterus sp. (genus) 2 Feb 2018 CathB

Identify this sighting


Please Login or Register to identify this sighting.

Be the first to comment


Please Login or Register to comment.

Location information

Sighting information

Additional information

  • Eucalyptus ?blakelyi Associated plant
  • 12mm to 25mm Animal size

Species information

Record quality

  • Images or audio
  • More than one media file
  • Verified by an expert moderator
  • Nearby sighting(s) of same species
  • GPS evidence of location
  • Description
  • Additional attributes
816,718 sightings of 23,396 species from 14,827 members
CCA 3.0 | privacy
NatureMapr is developed by at3am IT Pty Ltd and is proudly Australian made