Braconidae (family)

Unidentified braconid wasp at Melba, ACT

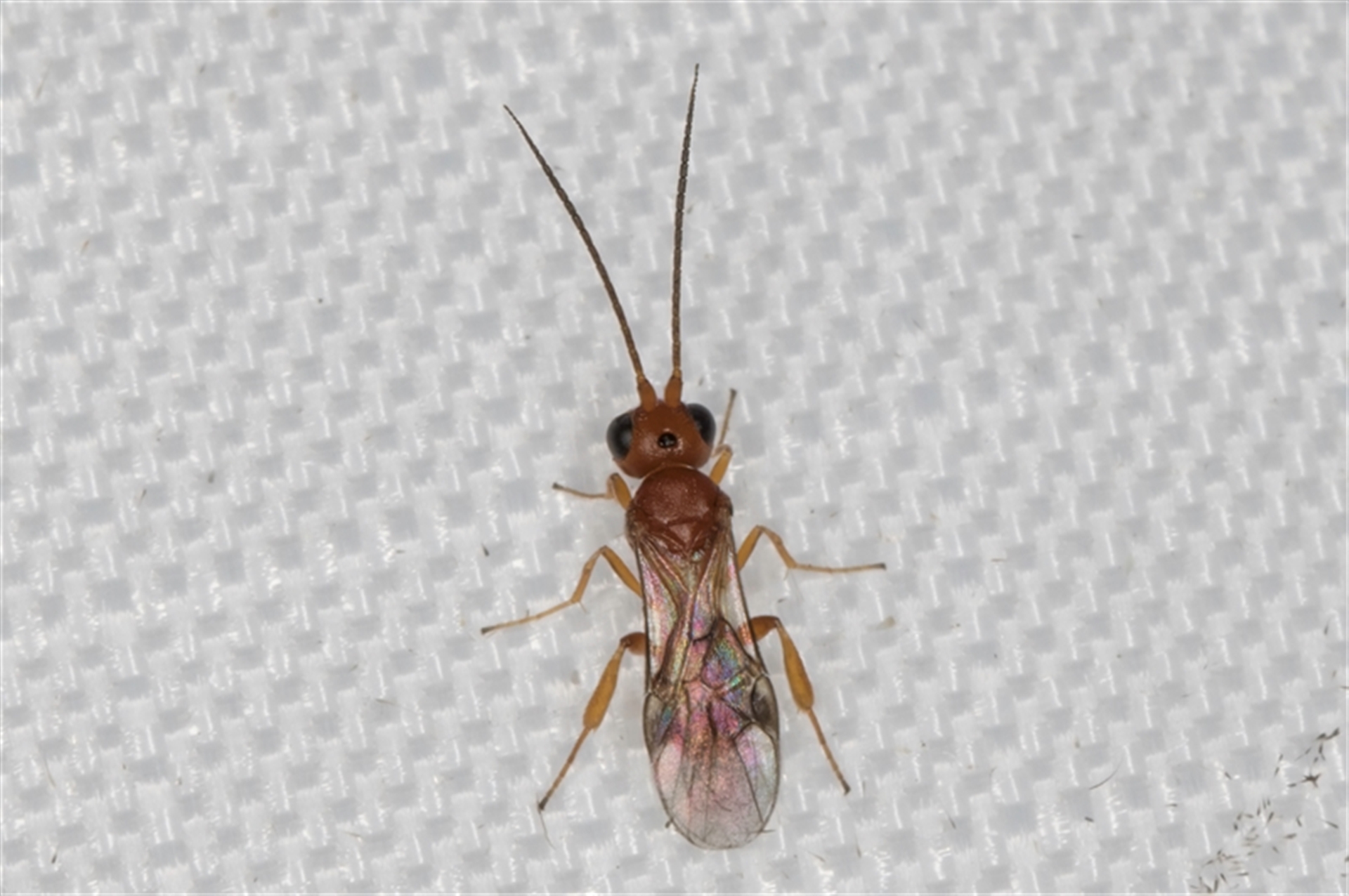
Braconidae (family) at Melba, ACT - 5 Mar 2025 10:56 PM
Braconidae (family) at Melba, ACT - 5 Mar 2025 10:56 PM
Request use of media

Identification history

Phanerotoma sp. (genus) 8 Mar 2025 DiBickers
Braconidae (family) 8 Mar 2025 DiBickers
Phanerotoma sp. (genus) 7 Mar 2025 kasiaaus

Identify this sighting


Please Login or Register to identify this sighting.

Be the first to comment


Please Login or Register to comment.

Location information

Sighting information

Additional information

  • Less than 5mm Animal size

Species information

Record quality

  • Images or audio
  • More than one media file
  • Verified by an expert moderator
  • Nearby sighting(s) of same species
  • GPS evidence of location
  • Description
  • Additional attributes
832,285 sightings of 23,597 species from 15,358 members
CCA 3.0 | privacy
NatureMapr is developed by at3am IT Pty Ltd and is proudly Australian made