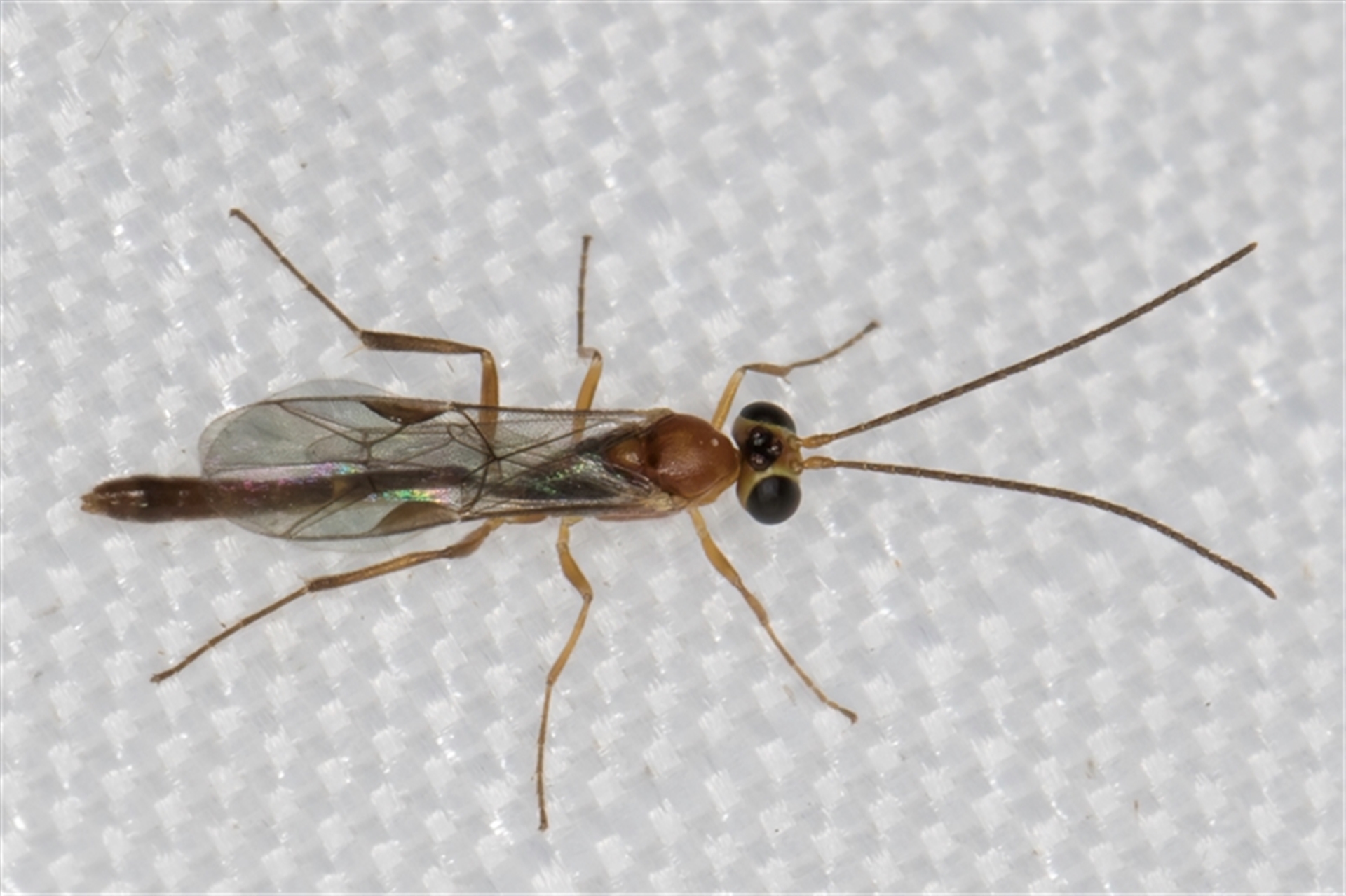
Braconidae (family)

Unidentified braconid wasp at Melba, ACT

Braconidae (family) at Melba, ACT - 24 Jan 2025 09:19 PM
Braconidae (family) at Melba, ACT - 24 Jan 2025 09:19 PM
Request use of media

Identification history

Braconidae (family) 5 Feb 2025 SimoneC
Unverified 26 Jan 2025 kasiaaus

Identify this sighting


Please Login or Register to identify this sighting.

Be the first to comment


Please Login or Register to comment.

Location information

Sighting information

Additional information

  • 5mm to 12mm Animal size
  • Alive / healthy Animal health

Species information

Record quality

  • Images or audio
  • More than one media file
  • Verified by an expert moderator
  • Nearby sighting(s) of same species
  • GPS evidence of location
  • Description
  • Additional attributes
821,001 sightings of 23,442 species from 14,940 members
CCA 3.0 | privacy
NatureMapr is developed by at3am IT Pty Ltd and is proudly Australian made