Lepidogryllus sp. (genus)

1 A cricket at Melba, ACT

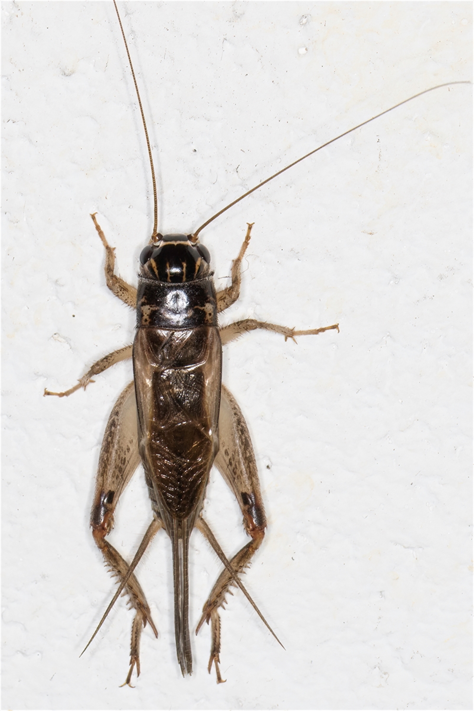
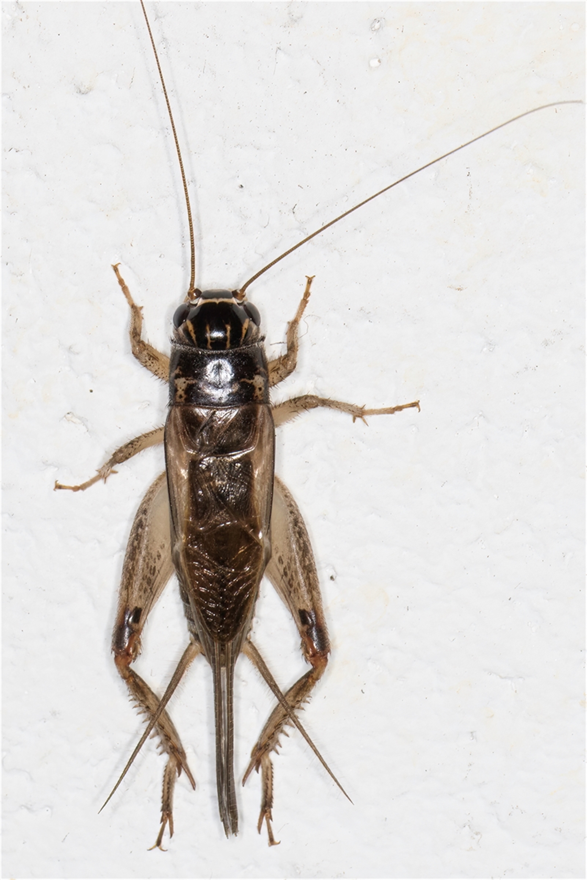
Lepidogryllus sp. (genus) at Melba, ACT - 25 Nov 2024 11:18 PM
Lepidogryllus sp. (genus) at Melba, ACT - 25 Nov 2024 11:18 PM
Lepidogryllus sp. (genus) at Melba, ACT - 25 Nov 2024 11:18 PM
Lepidogryllus sp. (genus) at Melba, ACT - 25 Nov 2024 11:18 PM
Request use of media

Identification history

Lepidogryllus sp. (genus) 27 Nov 2024 trevorpreston
Unverified 27 Nov 2024 kasiaaus

Identify this sighting


Please Login or Register to identify this sighting.

Be the first to comment


Please Login or Register to comment.

Location information

Sighting information

Additional information

  • 25mm to 50mm Animal size
  • Alive / healthy Animal health

Species information

Record quality

  • Images or audio
  • More than one media file
  • Verified by an expert moderator
  • Nearby sighting(s) of same species
  • GPS evidence of location
  • Description
  • Additional attributes
816,450 sightings of 23,390 species from 14,823 members
CCA 3.0 | privacy
NatureMapr is developed by at3am IT Pty Ltd and is proudly Australian made