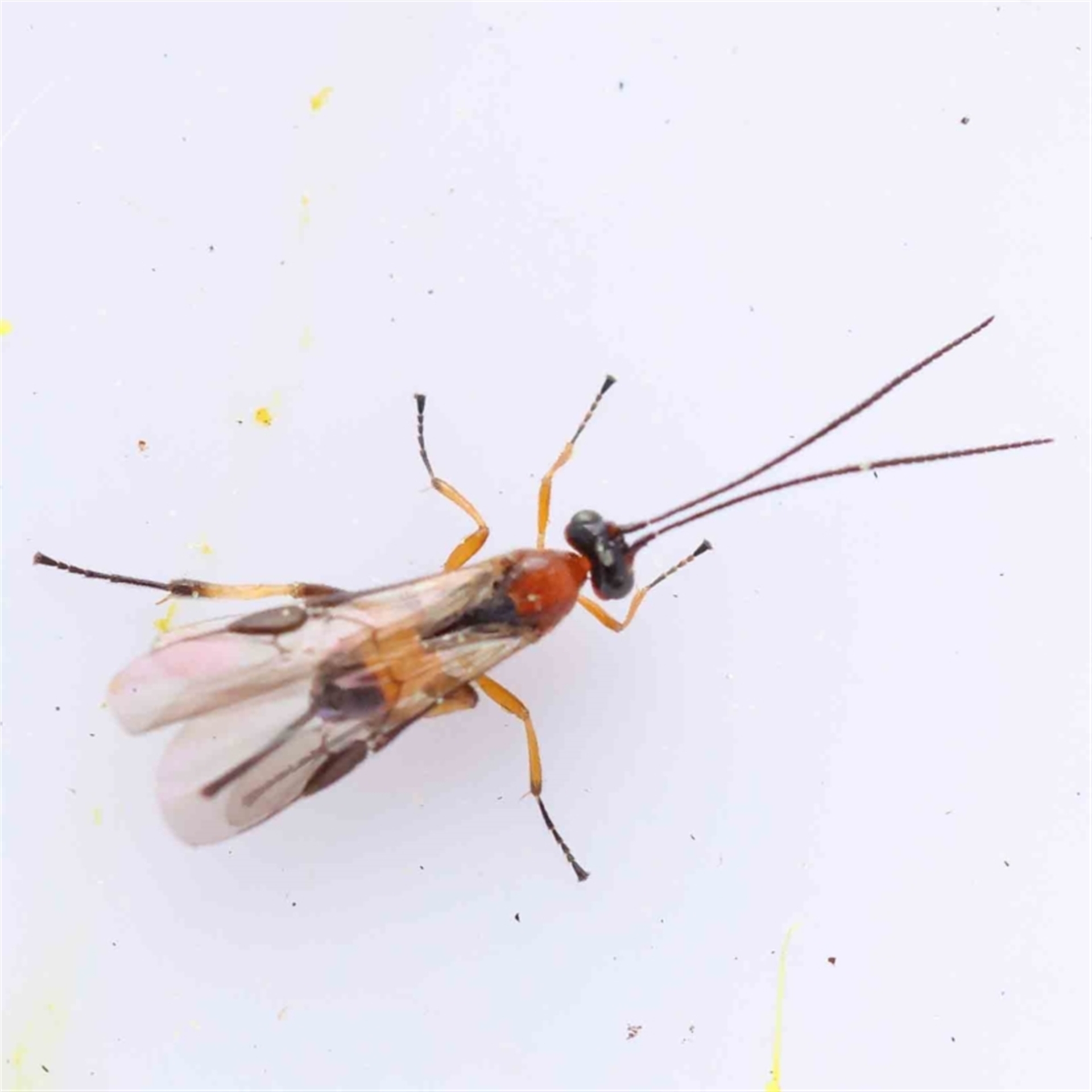
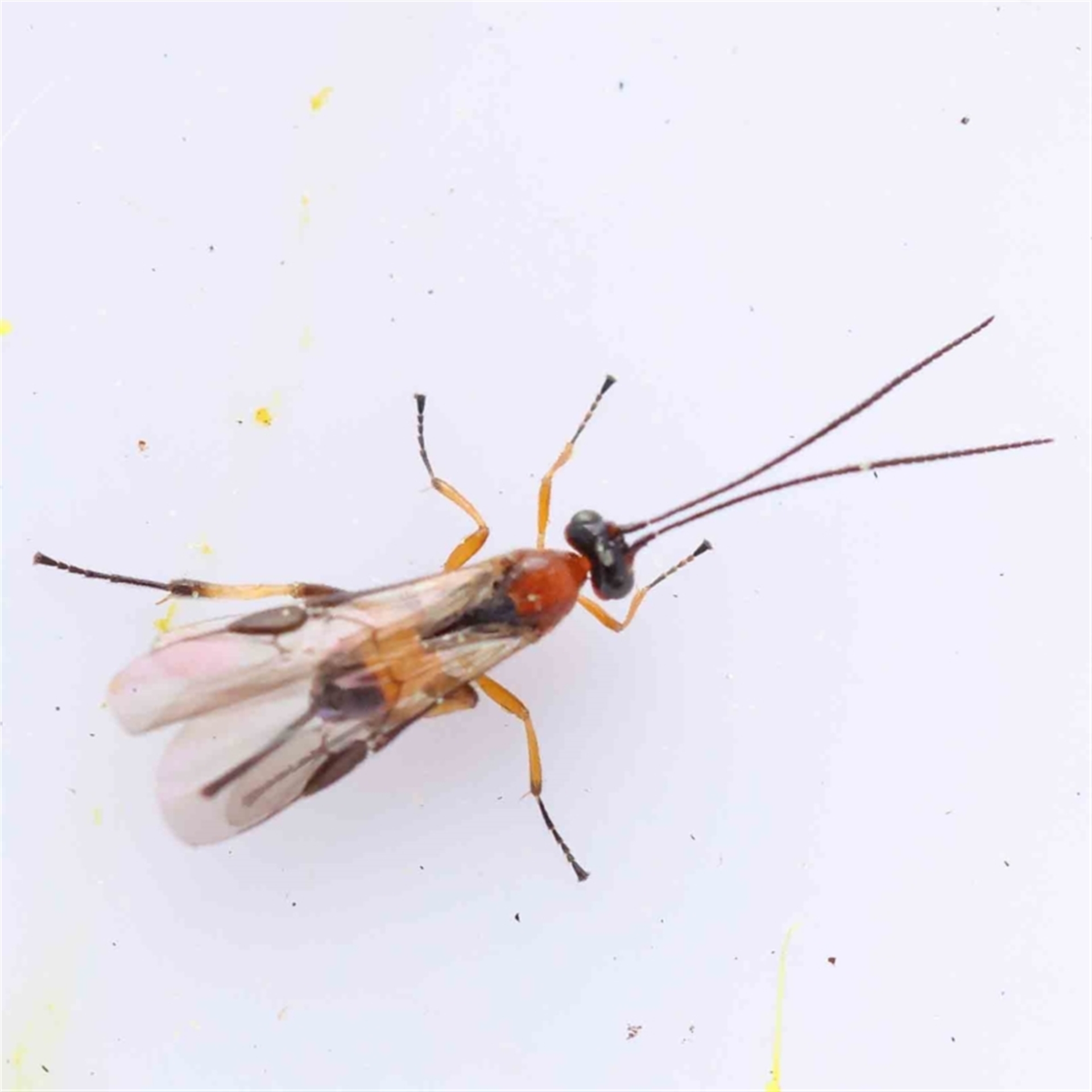
Braconidae (family)

Unidentified braconid wasp at Bruce, ACT

Braconidae (family) at Bruce, ACT - 21 Aug 2023 12:51 PM
Braconidae (family) at Bruce, ACT - 21 Aug 2023 12:51 PM
Request use of media

Identification history

Braconidae (family) 24 Oct 2024 SimoneC
Ichneumonidae (family) 27 Aug 2023 Hejor1
Unverified 26 Aug 2023 ConBoekel

Identify this sighting


Please Login or Register to identify this sighting.

Be the first to comment


Please Login or Register to comment.

Location information

Sighting information

Additional information

  • Less than 5mm Animal size

Species information

Record quality

  • Images or audio
  • More than one media file
  • Verified by an expert moderator
  • Nearby sighting(s) of same species
  • GPS evidence of location
  • Description
  • Additional attributes
820,721 sightings of 23,427 species from 14,935 members
CCA 3.0 | privacy
NatureMapr is developed by at3am IT Pty Ltd and is proudly Australian made