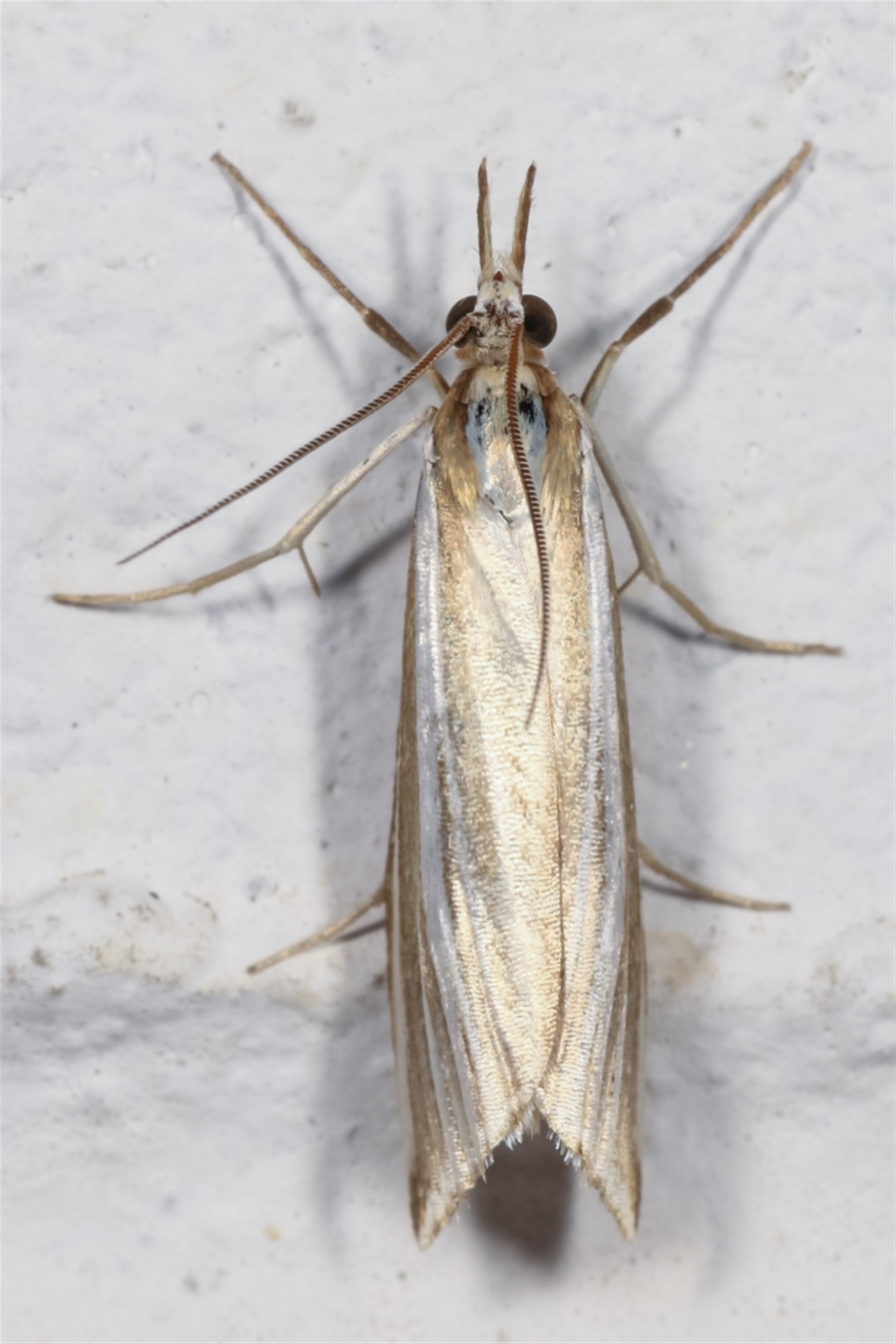
Hednota species near grammellus

Pyralid or snout moth at Melba, ACT

Hednota species near grammellus at Melba, ACT - 29 Mar 2021 09:26 PM
Hednota species near grammellus at Melba, ACT - 29 Mar 2021 09:26 PM
Hednota species near grammellus at Melba, ACT - 29 Mar 2021 09:26 PM
Request use of media

Identification history

Hednota species near grammellus 5 Apr 2021 donhe
Hednota species near grammellus 5 Apr 2021 kasiaaus

Identify this sighting


Please Login or Register to identify this sighting.

Be the first to comment


Please Login or Register to comment.

Location information

Sighting information

Additional information

  • 12mm to 25mm Animal size

Species information

Record quality

  • Images or audio
  • More than one media file
  • Verified by an expert moderator
  • Nearby sighting(s) of same species
  • GPS evidence of location
  • Description
  • Additional attributes
820,774 sightings of 23,430 species from 14,936 members
CCA 3.0 | privacy
NatureMapr is developed by at3am IT Pty Ltd and is proudly Australian made